香港政府再突襲式封區,晚上七時在尖沙咀及元朗劃出受限區域。政府晚上8時起,將紅磡馬頭圍道隆基大樓列為「受限區域」,目標是明日上午約7時完成行動。
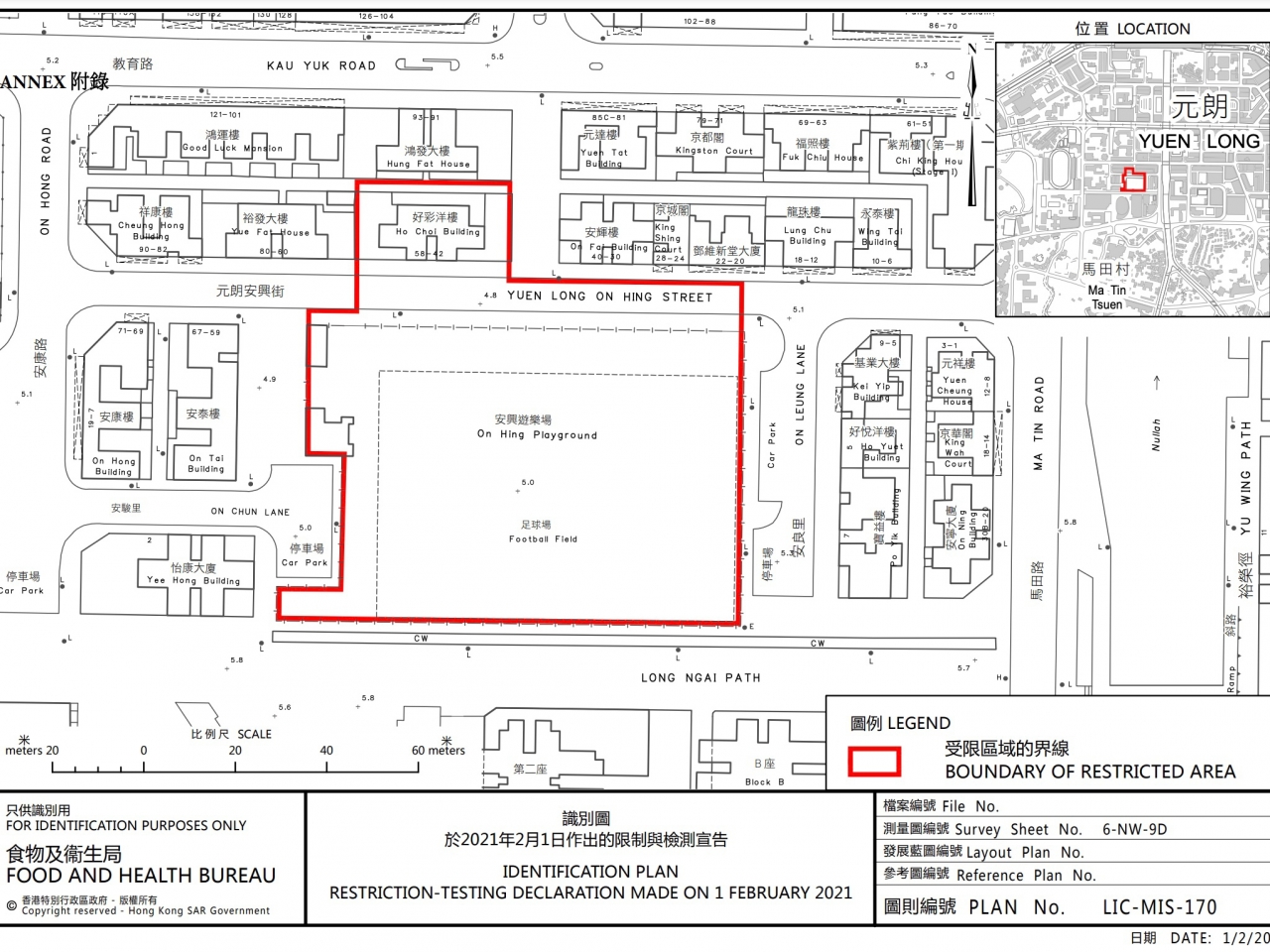
元朗安興街42至58A號好彩洋樓劃為受限區域,警員拉起封鎖線及搬鐵馬圍封對開一帶,商舖大部分已經落閘,居民須留在大廈內等候檢測。
另一個地點是尖沙咀彌敦道80號金鑾大廈,居民同樣要留在單位等檢測,如果已經檢測並有陰性證明,就毋須重新檢測。
兩幢大廈早前都各有一宗確診,政府目標明早約七時完成行動。
「受限區域」內將設立臨時採樣站,受檢人士須在明日凌晨2時前,接受檢測。在所有人士有檢測結果前,受檢人士必須留在處所內。行動不便人士和長者獲安排上門採様,或自行採集並遞交深喉唾液樣本。
發言人指,「受限區域」內人士如在上星期六至今日已經接受檢測,並能出示檢測結果電話短訊或證明,則無須再檢測,但要在處所等候,直至所有受檢人士完成檢測,檢測結果亦已獲大致確定,才可離開處所。
另外,在本月19日至今天期間,曾經身處該大廈內超過2小時的人士,即使在相關宣告生效時不在「受限區域」內,亦須在星期三前接受強制檢測。
多幢大廈納入強檢
在新規定下,多幢大廈納入強制檢測,包括薄扶林道63號1座、白加士街66-66A、愛民邨敦民樓、家維邨家禮樓、北角堡壘街偉文大廈、西營盤威利麻街星輝大廈、何文田邨逸文樓等。
深水埗南山邨南明樓的救世軍南山長者之家2樓一名院友確診。衞生防護中心傳染病處主任張竹君說,確診院友需要照顧,沒有外出,初步懷疑與一名曾到該院舍替工的確診個案有關,同層40多名院友要檢疫,需要檢疫的工作人員數字仍在點算中。
荃灣綠楊新邨再多兩宗個案,來自同一個04室單位,大廈至今共有12宗個案。衞生防護中心說,全港有很多類似設計的大廈,但並非全部都有這類個案或傳播,形容每次垂直傳播都有不同情況。
另外,機場三跑地盤有一宗初步確診個案,與早前個案屬同一合約地盤、但不同公司,屬早前要強制檢測的對象。
至於5宗輸入個案,2宗來自印尼、1宗來自菲律賓,1宗來自迪拜,其餘一宗來自尼泊爾,是抵港檢疫期間第12日的樣本呈陽性,初步化驗樣本屬變種的N501Y病毒株,要再檢驗確認。

